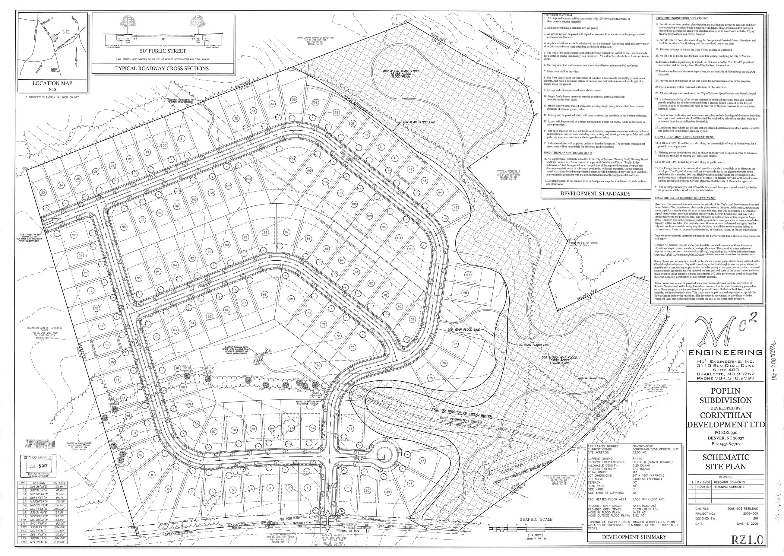
Calico Ridge

A condition district rezoning development consisting of 113 single family detached lots to be constructed on 52.03 acres. Located off Poplin Road.

Project Status

Under Construction. Approved by City Council on June 5, 2007.

Contact Information

  • Developer: Empire Homes
  • Engineering Firm: Merrick and Company
  • For more information, contact Planning: 704-282-4520
  1. 1 Calico Ridge Approved Site Plan1
  2. 2 Calicco Ridge Aerial