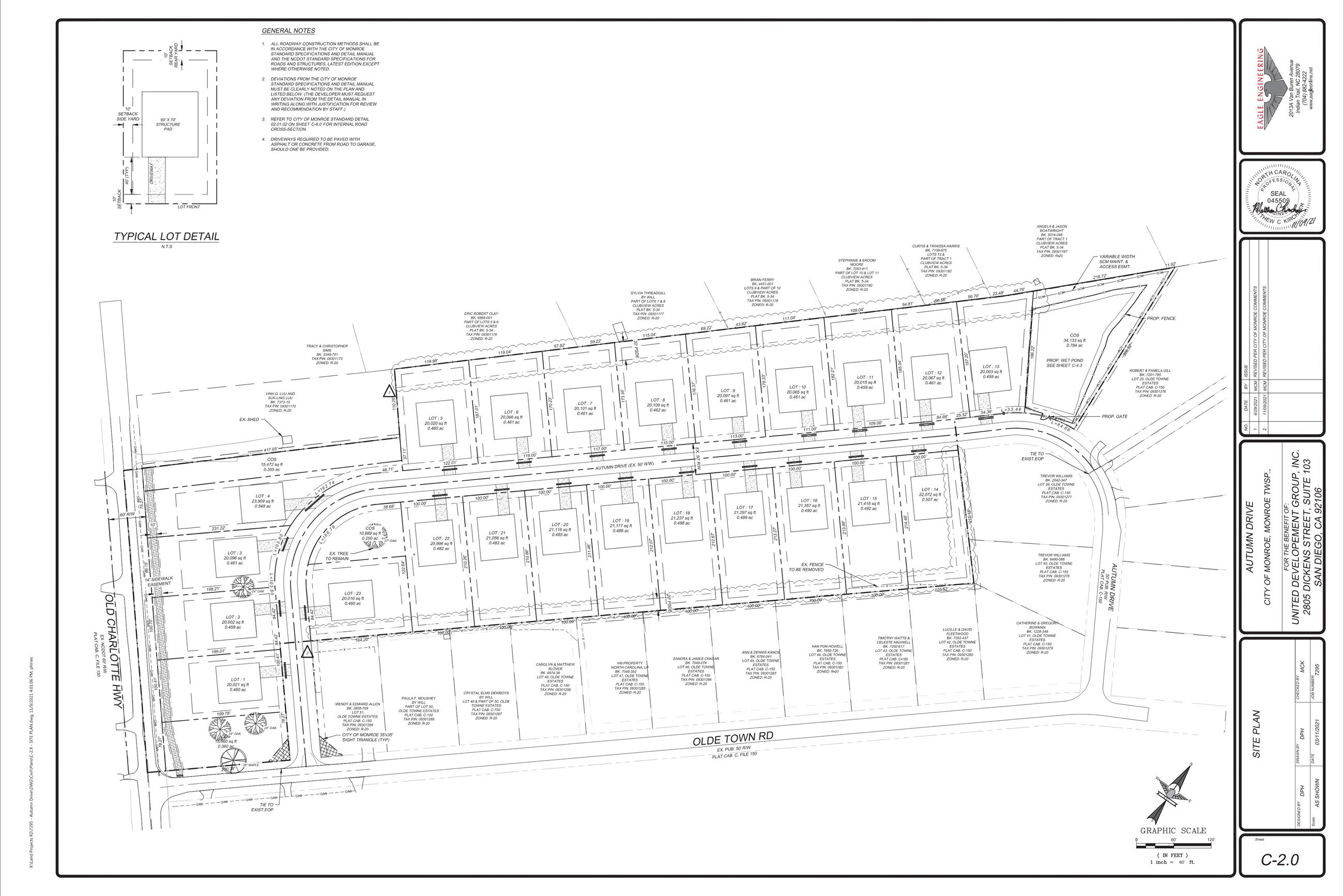
A by-right development consisting of 23 single-family detached lots to be constructed on 14.46 acres. Located off Olde Town Road/Autumn Drive.
Project Status
Built Out. Approved by City Staff on February 17, 2022.
Contact Information
- Developer: Eastwood Homes
- Engineering Firm: Eagle Engineering
- For more information, contact Planning: 704-282-4520